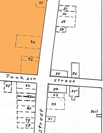
MISSING BUILDINGS (#85-87)
1860
Part of Block 14 (George & Barbara Eastman Map - Dec. 1958)
Missing Buildings
Forgotten Buildings is what Mrs. George W. Eastman called her compilation as she described (in 1954) what was here: Main Street West

© Columbia State Historic Park.
The buildings to the right are Upper Fandango, looking south. - c1866
1859 - Dr. Louis Charneau's residence. (#85) AKA French Drug Store. (G & B Eastman 1958)
1859 - Adolfe Loraine's "Upper Fandango" (#86) (G & B Eastman 1958)
1859 - House of Margarita. (#87) (G & B Eastman 1958)
1858 June 24 - Mariquita Martines and Josefa Rojas divide the property (Marquita's Fancy Saloon) "selling" to each other for $1 each, signing the deeds with an "X" (Deeds Vol. 8 page 321) (Deeds Vol. 7 page 598) (Eastman Vol. 9 page 109)
1858-71 Marquita's Fancy Saloon. AKA House of Marquita. (Located North of Jackson and Southwest of Main St. Across the street from Questais Fandango)
Josefa Rojas Chilean 30 yrs old in 1860 census listed as a Saloon Keeper. Located on West side of North Main Street, midway between Jackson and Pacific Streets. Two doors north of Dr. Charnaux' residence.(#85)
1860 June 1 - Mariquita Martines and Margareta Moscoso (30 yr old from Chile) buys a parcel of land from Henry Smith that is on the west side of Main Street, above Jackson Street for $157.50. It is 25 feet in front and 110 feet deep. (Deeds Vol. 10 page 164) (Eastman Vol.9 page 138) Willie Minor 28 yr. old female from Jamaica is listed as a barkeeper living with Josefa Rojas in 1860 census.
1860 May 23 - Engine Company #2. Columbia Engine #2 (AKA Monumental) is removed to C. Humbert's building on the west side of Main Street, two doors above Jackson. (second location for Monumental) Actually it was the corner lot, northwest on Main & Jackson Streets, below #85. (G & B Eastman 1958)

From a copy of the map of Columbia 1860 that was compiled by George W. & Barbara Eastman Map - Dec. 1958

This page is created for the benefit of the public by
Floyd D. P. Øydegaard.
Email contact:
fdpoyde3 (at) yahoo (dot) com
A WORK IN PROGRESS,
created for the visitors to the Columbia State Historic park.
© Columbia State Historic Park & Floyd D. P. Øydegaard.